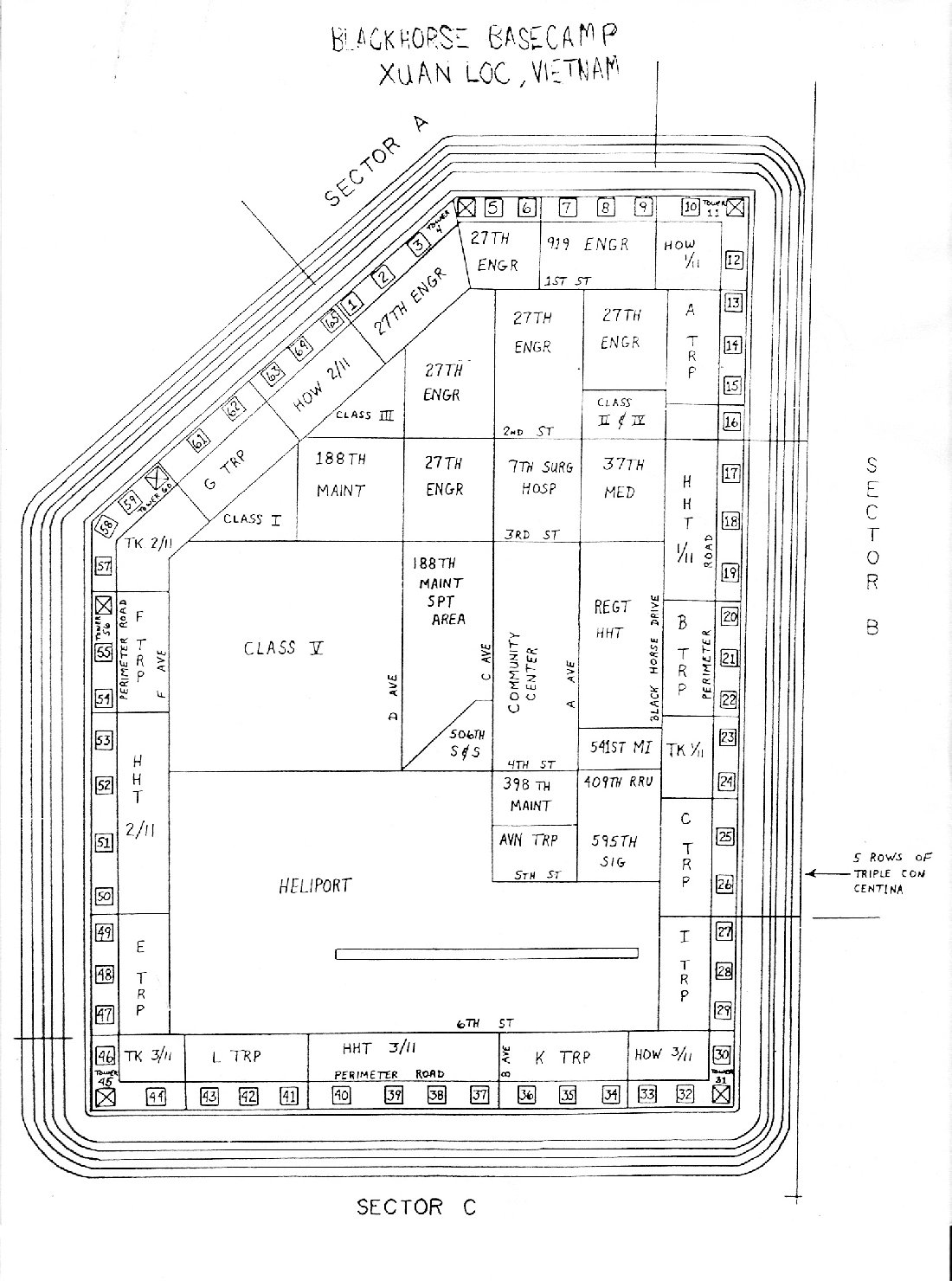
This image is probably in the 11th archive somewhere but thought I’d pass it along for old times sake.  Larry Cofty (E Trooper) sent this to me several years ago. Where did we exit on the dreaded trips to Bien Hoa?  Maybe between B and C Troop? I don’t remember that we had “street” names at Xuan Loc (1st through 6th Street, -C Avenue?). Did the Community Center have the BX and ‘common’ Chow Hall? Memory is the second thing to fail!! Take care.

Mike Muscato E Troop  67-’68